

|
Nagykáta, 31-es út bevezető szakasza
|
|
ELADÓ INGATLAN |
|
Adatok |
|
Adatok, elhelyezkedés |

|
Az ingatlan elhelyezkedését a piros pont jelöli |
|
Térképvázlat |
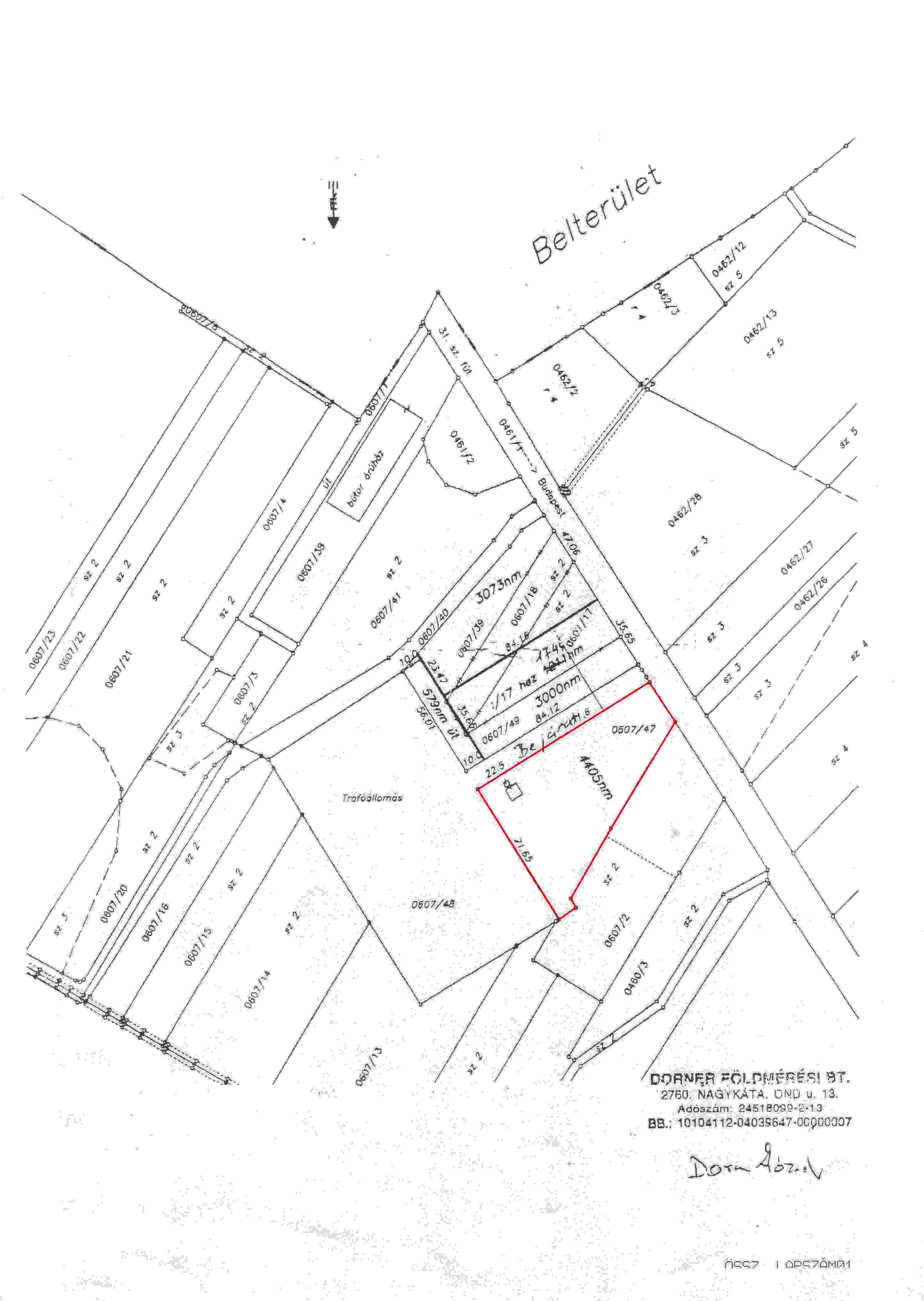
|
A mellékelt vázrajz az ingatlan pontos méretét és formáját mutatja |
|
Kitűzési vázrajz |
|
Térkép |
|
Alapterület: 4405 m2 Helyrajzi szám: 0607/47 Építési besorolási övezet: Gksz-1 |
|
Gksz-1 fontosabb adatai: legkisebb telekterület: 2000,0 m2 legkisebb telekszélesség: 30,0 m legnagyobb építménymagasság: 7,5 m legkisebb építménymagasság: 3,5 m előkert legkisebb mélysége: 20,0 m |
|
Az ingatlan melletti 0607/48 hrsz.-ú „nyeles” telek „nyél” része külön helyrajzi számmal rendelkezik, mely útként használható, vagyis a behajtás osztott telek esetén is lehetséges. |
|
A közművek közül az elektromos hálózat az ingatlan előtti részen kiépített, a földgáz és a víz-csatorna, kiépíthető (elvi engedélyezés megtörtént). Az ingatlanra egyik közmű sincs bekötve. |